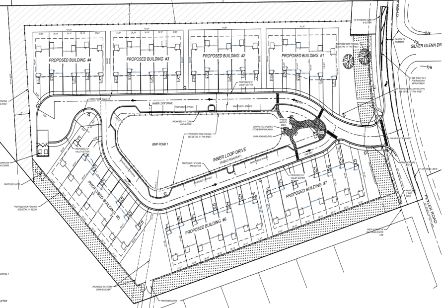
Plyler Road Townhomes

Project Number: 2015-0038

Description: 41-unit townhome subdivision on 6.73 acres

Location: Parcel ID #07084675, 146 Canina Lane

Existing Zoning: Light Industrial

Proposed Zoning: Conditional Zoning, Multifamily Residential

Town Council Approval: 01/09/2018

Site Plan Approval: 01/15/2020

Status: Complete

Supporting Files: Final Plat

Town Reviewer: Tim Jones, Senior Planner

Plyler Road Townhomes Site Plan